Skip to main content

Overview

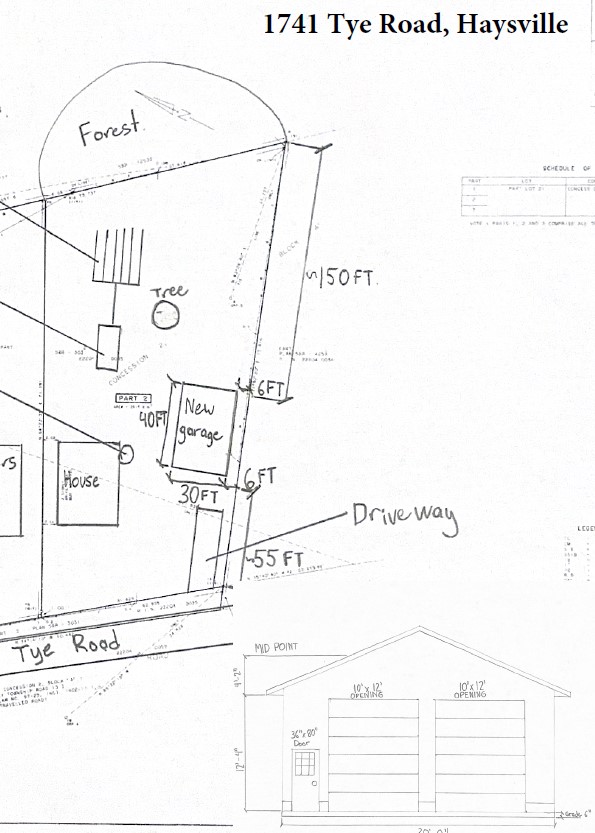
Proposed Development

This application proposes to increase the maximum allowable height of an accessory building from 4.5 metres to approximately 5.05 metres.

Concept Plan

Proposed sketch

Give your feedback

FAQ

This information is available in accessible formats upon request.


As of June 6, 2024, Provincial Bill 185 became law. Bill 185 removed appeal rights, specifically the rights of neighbours, individuals, companies, and ratepayer groups. This implies that the only option for neighbours to make their case about a development proposal is before the Committee of Adjustment.

In accordance with Sections 34(19) of the Planning Act, an appeal may only be filed by the applicant, the registered owner, Minister of Municipal Affairs and Housing, or a specified person or public body that has interest in the matter.


Be advised that comments received become part of the public record and may be posted on the Township’s official website.

Only personal information as defined by the Municipal Freedom of Information and Protection of Privacy Act (MFIPPA) will be redacted from your written submission.