Skip to main content

Proposed Development

The Township is in receipt of application resubmissions for a Draft Plan of Subdivision and associated Zoning Bylaw

Amendment for lands north of Michael Myers Road and Kropf Drive in Baden. The lands are designated Urban

Residential in the Township Official Plan and are presently zoned Zone 1 (Agricultural) within the Township Zoning

By-law 83-38, as amended.

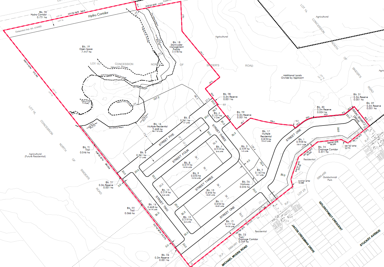
Draft plan of subdivision application 30T-22602, is comprised of approximately 25.49ha and includes between

302-431 dwelling units in the form of single detached and townhouse/other multiple dwellings. The plan includes a

storm water management area, open space lands (woodlot and wetland) and an integrated trail network that will be

interconnected with existing and future sidewalks, trails and walkways. A copy of the draft plan is attached to this

notice.

Zone change application 11/22 proposes amendments to the zoning by-law to implement the draft plan of

subdivision. Development blocks neighbouring existing residential properties on the south side of the subject

property are proposed to be zoned Zone 2b (Residential), which would permit single detached dwellings and

accessory uses as currently permitted within that zone. The residential blocks in the centre of the development are

proposed to be zoned to permit both single detached and townhome dwellings and accessory uses. The remaining

residential blocks on the border of the development are proposed to be zoned Zone 4 (Residential), which would

permit multi-residential in the form apartments or townhomes. The stormwater management block, open space

lands, and trail network would be zoned Zone 11 (Open Space).

Revisions

Since the July 2023 Public Meeting, the plan has seen minor revisions including boundary modifications to reflect

the current Urban Boundary limits on the east side of the development as well as the inclusion of a 7.4ha woodland

and wetland area to be conveyed to the Township. Additional work has been undertaken to evaluate traffic calming

measures to be introduced along Isaac Shantz Drive and Jacob Cressman Drive to address traffic volume and

speed concerns raised through public consultation to date.

Concept Plan

Applicant

Consultant: MHBC Planning

Owner: Activa Holdings Inc.


Supporting Materials

Council Meetings

Public Meeting # 1

The first Public Meeting to consider the zone change application was held on Monday, July 24, 2023, at 7:00pm.

Public Meeting #2

Join us online or in person to learn more about the proposed development and share your feedback.

The Public Meeting to consider this application will be held on April 13, 2026, at 6:00pm. This meeting will be held both in person and virtually through online or telephone attendance and streamed live online at www.wilmot.ca/YouTube. The in person meeting will be held in the Council Chambers, Township of Wilmot Administration Offices, 60 Snyder’s Road West, Baden, Ontario.

Individuals who may wish to participate in the meeting virtually, and/or have presentation materials displayed at the meeting, must register in advance. The deadline for submission of presentation materials is April 8, 2026, at 12:00pm. Additional details on how to connect to the meeting will be provided after you register. Individuals who would like to speak at the meeting in person may also register in advance in the same manner as virtual participants, but pre-registration is not mandatory for in person participation without presentation materials.


Meeting to Consider Recommendation

To be determined.

How to Speak at a Council Meeting

To participate virtually and/or share a presentation, you must register in advance.

If you can't attend the meeting in person and/or are concerned about technical difficulties, please ensure that you submit comments under the 'Give your feedback' tab in advance of the meeting to ensure your voice is heard.

Interested Parties

If you wish to be notified of the decision of the Township of Wilmot on the proposed amendment, you must make a written request to the Township of Wilmot: 60 Snyder’s Road West, Baden ON, N3A 1A1 or to planning@wilmot.ca.

Give your feedback

FAQ

This information is available in accessible formats upon request

In accordance with Sections 34(19) of the Planning Act, an appeal may only be filed by the applicant, the registered owner, Minister of Municipal Affairs and Housing, or a specified person or public body that has interest in the matter.

As of June 6, 2024, Provincial Bill 185 removed third party appeal rights, with limited exception (provided they made submissions to council before the decision is made). Appeals to development approvals can no longer be filed by neighbours, individuals, companies, and community associations.

Landowners will continue to have the right to file appeals of Planning Act decisions that affect land they own.

Be advised that comments received become part of the public record and may be posted on the Township’s official website.

Only personal information as defined by the Municipal Freedom of Information and Protection of Privacy Act (MFIPPA) will be redacted from your written submission.